Recensement de population
Les dénombrements de population comptée à part (hors 1946 qui n'en comporte pas) sont accessibles uniquement en salle de lecture. En effet, la population comptée à part, présente des données dites sensibles : prisonniers majeurs ou mineurs incarcérés (populations placées sous main de justice) ; personnes hospitalisées (personnes protégées par le secret médical) et membres des congrégations religieuses (personnes protégées par le secret de leur confession) qui restent non diffusables en ligne.
Les recensements quinquennaux de population n'ont donné lieu à Paris à l'établissement de listes nominatives qu'à quatre reprises : en 1926, 1931, 1936 et 1946.
Outre les listes nominatives, des éléments statistiques sont présents pour chaque quartier.
Les dénombrements listent la population en 3 parties :
- la population de résidence habituelle (partie A) ;
- la population comptée à part - population des casernes, internats des lycées, hôpitaux, prisons, congrégations religieuses, etc. - (partie B pour les années 1926 et 1936, partie C pour l'année 1931) ;
- les hôtes de passage (partie C pour les années 1926 et 1936, partie B pour l'année 1931).
La partie principale, soit celle des résidents ordinaires, regroupe au niveau de chaque immeuble, les membres d'une même famille en précisant pour chacun d'entre eux, les nom et prénom, l'année et le lieu de naissance, la nationalité, le lien de parenté et la profession.
Pour les années 1926, 1931 et 1936, les listes nominatives ont été dressées par arrondissement puis par quartier, enfin dans l'ordre alphabétique des noms de voie pour chacune des 3 parties.
Pour l'année 1946, les listes ont été dressées par arrondissement puis par quartier, enfin par îlot (numérotation des îlots définie par l'INSEE).
- Les quartiers sont à rechercher dans la Nomenclature officielle des voies publiques et privées établie par la ville de Paris ;
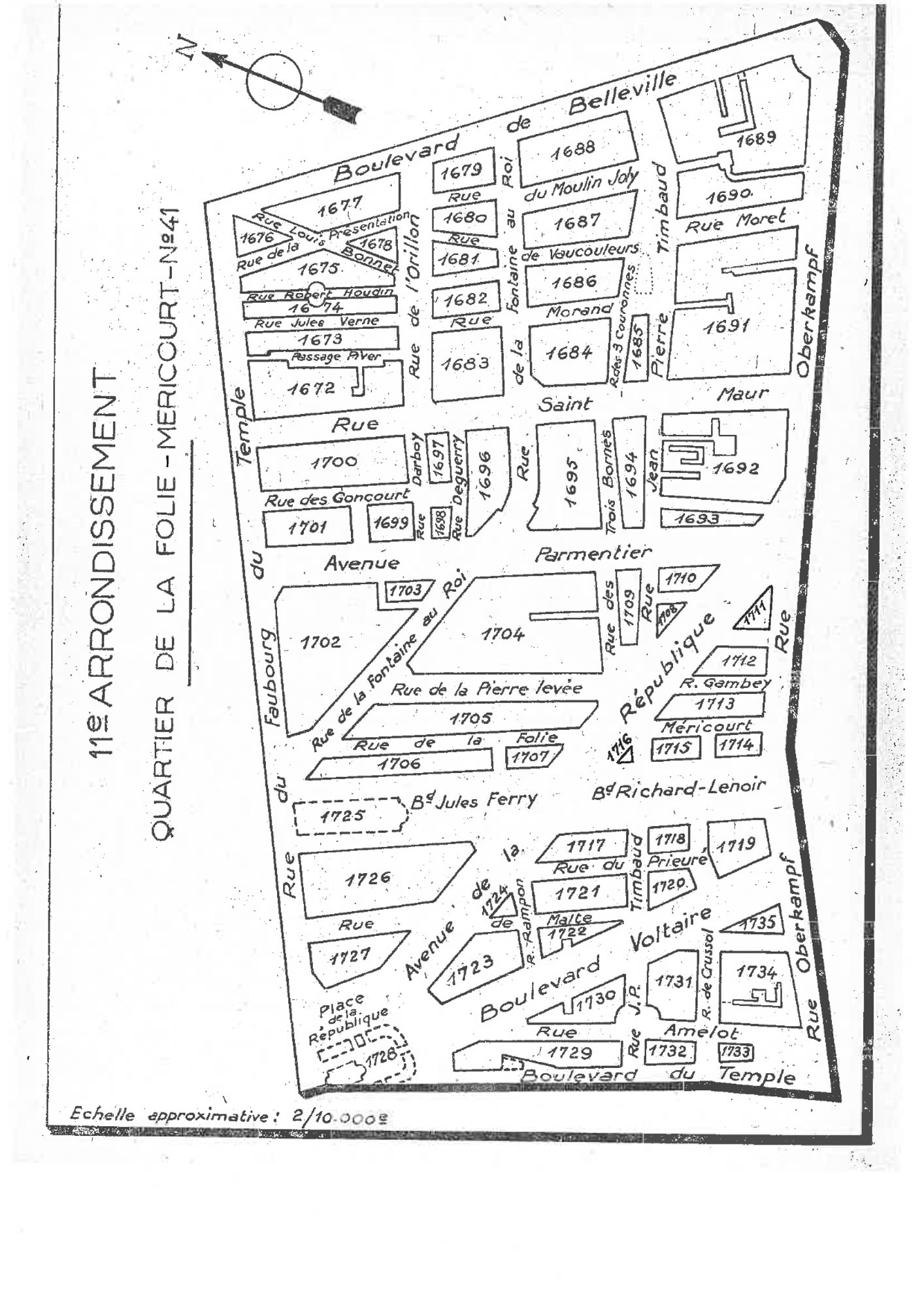
- Les îlots sont à rechercher dans les plans suivants : du 1er au 10e arrondissement ; du 11e au 20e arrondissement. L'emplacement du numéro de l'habitation dans la rue détermine le numéro de l'îlot. La consultation d'un plan actuel de Paris peut être utile pour situer ce numéro dans l'îlot.
Lacunes et bizarreries
- année 1931 : manquent les quartiers Enfants Rouges et Sainte-Avoye (3e arr.) et Saint-Georges (9e arr.) ;
- année 1936 : le quartier Sainte-Marguerite (11e arr.) est très lacunaire. Sont par ailleurs mélangés les quartiers Croulebarbe et Maison-Blanche (13e arr.), Necker et Saint-Lambert (15e arr.) et Chaillot et Muette (16e arr.). Il manque les lettres de A à F pour le quartier Javel (15e). Il manque les voies après la rue des Rigoles pour le quartier Belleville (20e).
Dans certains registres, l'ordre alphabétique (pour les noms de rues) ou l'ordre numérique (pour les numéros d'îlots) ne sont pas respectés.